
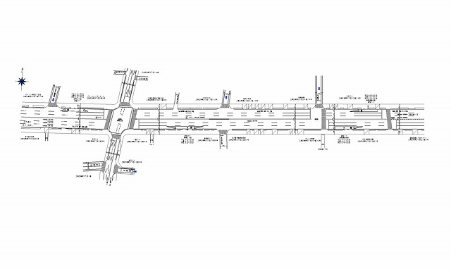
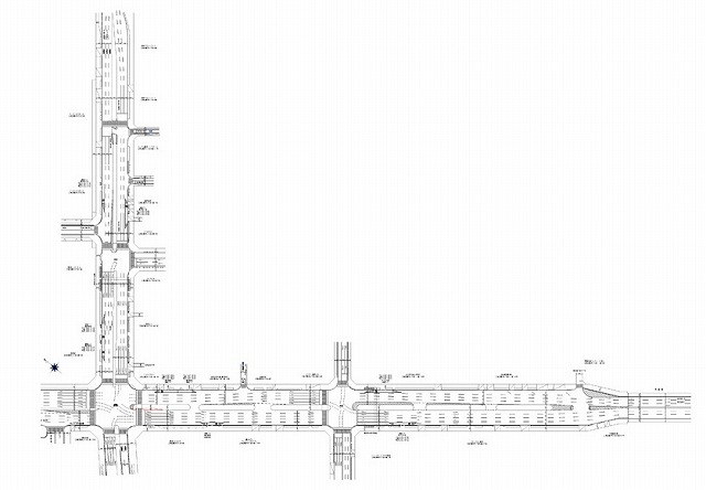
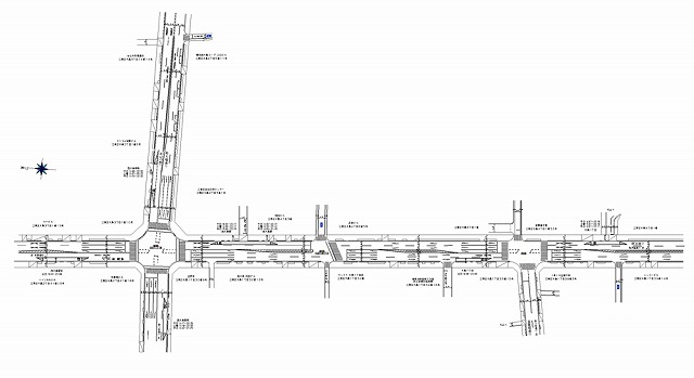
| 本線名 | 左端 | 右端 | 規制図 |
|---|---|---|---|
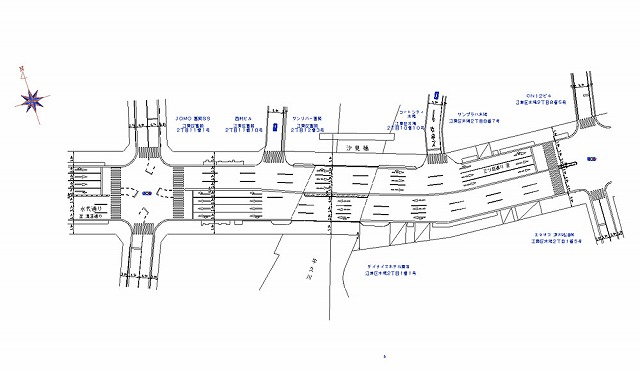
| 永代通り | 富岡2丁目 | 木場2丁目 | |
| 新大橋通り | 大島9丁目 | 小松川1丁目 | |
| 葛西橋通り/三ツ目通り | 木場3丁目 | 東陽6丁目 | |
| 晴海通り | 豊洲1丁目 | 豊洲3丁目 | |
| 蔵前橋通り | 亀戸4丁目 | 亀戸4丁目 | |
| 国道14号 | 亀戸7丁目 | 小松川3丁目 | |
| 新大橋通り | 大島4丁目 | 大島5丁目 | |
| 蔵前橋通り/明治通り | 亀戸3丁目 | 亀戸4丁目 | |
| 有明2丁目 | 東雲2丁目 | ||
| 有明1丁目 | 有明1丁目 | ||
| 有明1丁目 | 有明1丁目 | ||
| 新木場4丁目 | 若洲2丁目 | ||
| 有明3丁目 | 有明3丁目 | ||
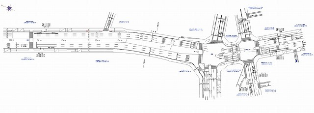
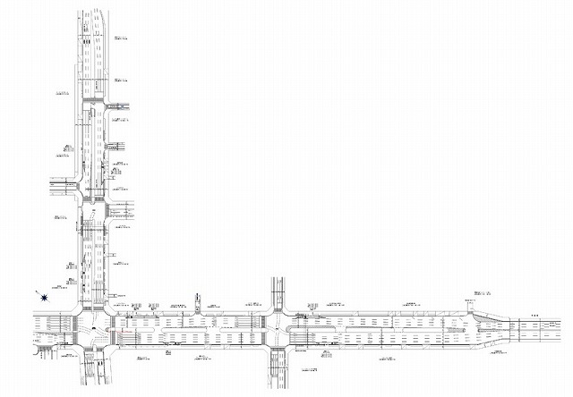
| 京葉道路 | 江東橋4丁目 | 亀戸6丁目 | |
| 新大橋通り/三ツ目通り | 森下4丁目 | 住吉1丁目 | |
| 新木場1丁目 | 新木場3丁目 | ||
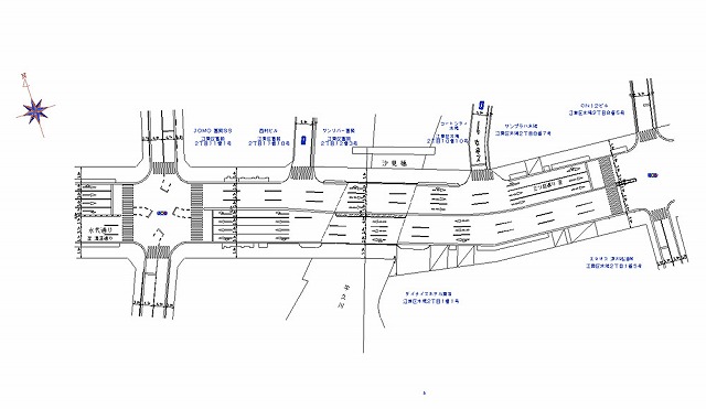
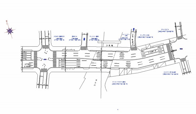
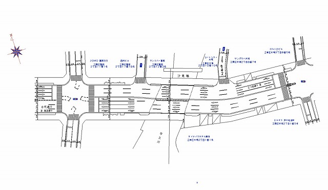
| 潮見2丁目 | 潮見2丁目 | ||
| 潮見1丁目 | 潮見2丁目 | ||
| 不明 | 不明 | ||
| 森下4丁目 | 猿江1丁目 | ||
| 若洲 | 若洲 | ||
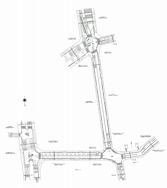
| 三ツ目通り | 塩浜2丁目 | 枝川3丁目 | |
| 昭和橋通り | 大島3丁目 | 亀戸6丁目 | |
| 永代通り/四ツ目通り | 東陽3丁目 | 南砂2丁目 | |
| 豊洲6丁目 | 豊洲6丁目 | ||
| 永代通り | 東陽4丁目 | 南砂2丁目 | |
| 塩浜2丁目 | 塩浜1丁目 | ||
| 永代通り/葛西橋通り | 永代2丁目 | 冬木 | |
| 三ツ目通り | 豊洲4丁目 | 豊洲5丁目 | |
| 永代通り | 東陽3丁目 | 東陽3丁目 | |
| 新大橋通り | 大島3丁目 | 大島6丁目 | |
| 湾岸道路 | 新木場1丁目 | 新木場4丁目 | |
| 浅草通り | 業平5丁目 | 亀戸4丁目 | |
| 葛西橋通り | 南砂6丁目 | 東砂7丁目 | |
| 国道357号/湾岸道路/三ツ目通り/晴海通り | 辰巳2丁目 | 東雲2丁目 | |
| 国道14号 | 亀戸7丁目 | 亀戸9丁目 | |
| 有明1丁目 | 有明1丁目 | ||
| 有明1丁目 | 有明1丁目 | ||
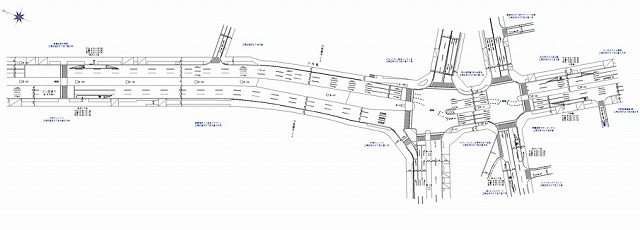
| 江東区〜墨田区 | 住吉1丁目 | 江東橋5丁目 | |
| 大島9丁目 | 東砂3丁目 | ||
| 有明1丁目 | 有明1丁目 | ||
| 亀戸2丁目 | 亀戸5丁目 | ||
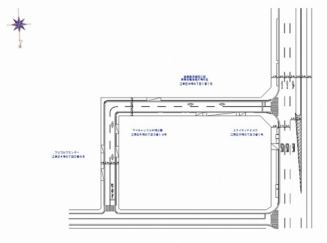
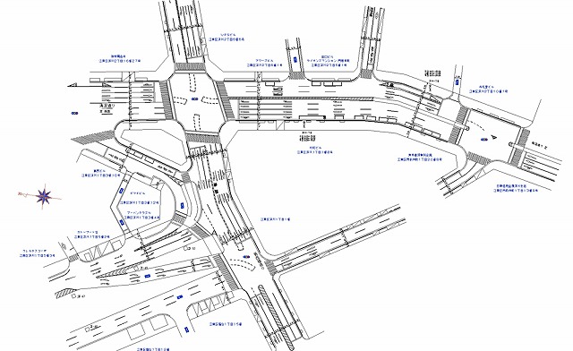
| 永代通り | 冨岡1丁目 | 深川2丁目 | |
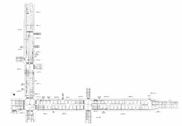
| 清澄通り | 門前仲町1丁目 | 冨岡1丁目 | |
| 三ツ目通り | 辰巳2丁目 | 辰巳3丁目 | |
| 新砂3丁目 | 南砂7丁目 | ||
| 明治通り | 大島1丁目 | 大島4丁目 | |
| 国道14号 | 亀戸7丁目 | 小松川4丁目 | |
| 三ツ目通り | 木場6丁目 | 木場6丁目 | |
| 有明1丁目 | 東雲2丁目 | ||
| 国道14号 | 亀戸7丁目 | 小松川4丁目 | |
| 越中島通り/清澄通り/琴平通り/三ツ目通り | 越中島1丁目 | 枝川1丁目 | |
| 三ツ目通り/清洲橋通り美術館通り | 白河3丁目 | 三好4丁目 | |
| 東砂8丁目 | 東砂8丁目 | ||
| 明治通り/永代通り | 新砂1丁目 | 南砂3丁目 | |
| 明治通り/浅草通り/蔵前橋通り | 立花1丁目 | 亀戸4丁目 | |
| 晴海通り | 東雲1丁目 | 東雲2丁目 | |
| 晴海通り | 豊洲1丁目 | 豊洲3丁目 | |
| 明治通り | 北砂2丁目 | 北砂2丁目 | |
| 晴海通り | 豊洲3丁目 | 豊洲4丁目 | |
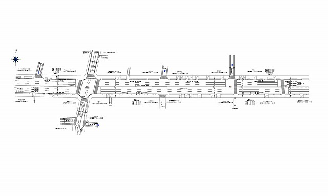
| 永代通り | 東陽4丁目 | 南砂3丁目 | |
| 晴海通り | 豊洲1丁目 | 豊洲3丁目 | |
| 葛西橋通り | 深川2丁目 | 木場6丁目 | |
| 永代通り | 東陽4丁目 | 南砂3丁目 | |
| 古石場2丁目 | 古石場2丁目 | ||
| 塩浜2丁目 | 塩浜2丁目 | ||
| 豊洲5丁目 | 豊洲5丁目 | ||
| 三ツ目通り/晴海通り | 豊洲2丁目 | 豊洲5丁目 | |
| 葛西橋通り/船堀街道/新田仲町通り | 深川2丁目 | 木場6丁目 | |
| 葛西橋通り/清澄通り | 深川2丁目 | 福住1丁目 | |
| 永代通り | 木場2丁目 | 木場2丁目 | |
| 清澄通り | 深川2丁目 | 門前仲町1丁目 | |
| 三ツ目通り | 木場6丁目 | 塩浜2丁目 | |
| 三ツ目通り | 塩浜2丁目 | 枝川2丁目 | |
| 三ツ目通り | 枝川2丁目 | 潮見1丁目 | |
| 新大橋通り/三ツ目通り(江東区〜墨田区) | 森下2丁目 | 菊川3丁目 | |
| 亀戸6丁目 | 亀戸6丁目 | ||
| 亀戸6丁目 | 亀戸6丁目 | ||
| 森下5丁目 | 森下5丁目 | ||
| 東砂1丁目 | 東砂1丁目 | ||
| 南砂1丁目 | 南砂1丁目 | ||
| 清洲橋通り | 南砂1丁目 | 南砂1丁目 | |
| 南砂2丁目 | 南砂2丁目 | ||
| 南砂2丁目 | 南砂2丁目 | ||
| 清洲橋通り/明治通り/丸八通り/神明通り | 南砂1丁目 | 東砂5丁目 | |
| 葛西橋通り/丸八通り/清洲橋通り/四十町通り/神明通り | 南砂4丁目 | 南砂6丁目 | |
| 四ツ目通り/清洲橋通り | 千田 | 住吉2丁目 | |
| 北砂5丁目 | 北砂4丁目 | ||
| 大島8丁目 | 大島8丁目 | ||
| 有明1丁目 | 有明2丁目 | ||
| 三ツ目通り | 白河4丁目 | 三好4丁目 | |
| 有明2丁目 | 有明1丁目 | ||
| 丸八通り | 北砂4丁目 | 北砂7丁目 | |
| 晴海通り | 東雲1丁目 | 東雲1丁目 | |
| 永代通り | 佐賀1丁目 | 永代2丁目 | |
| 明治通り/浅草通り/蔵前橋通り | 立花1丁目 | 亀戸2丁目 | |
| 新木場3丁目 | 新木場3丁目 | ||
| 新木場2丁目 | 新木場2丁目 | ||
| 晴海通り | 東雲2丁目 | 東雲2丁目 | |
| 永代通り | 永代1丁目 | 佐賀1丁目 | |
| 国道14号 | 亀戸7丁目 | 平井1丁目 | |
| 国道14号 | 亀戸7丁目 | 小松川4丁目 | |
| 清洲橋通り/明治通り | 南砂1丁目 | 南砂5丁目 | |
| 国道357号 | 新木場4丁目 | 新木場4丁目 | |
| 明治通り/新大橋通り/釜屋堀通り | 大島3丁目 | 大島4丁目 | |
| 国道357号 | 新木場1丁目 | 新木場4丁目 | |
| 夢の島 | 新木場1丁目 | ||
| 晴海通り | 東雲1丁目 | 東雲2丁目 | |
| 永代通り | 東陽3丁目 | 東陽3丁目 | |
| 永代通り | 東陽3丁目 | 東陽4丁目 |

