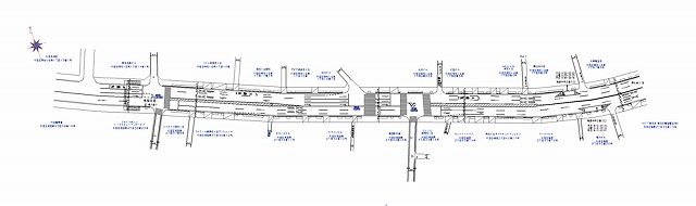
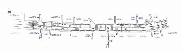
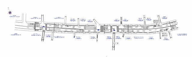
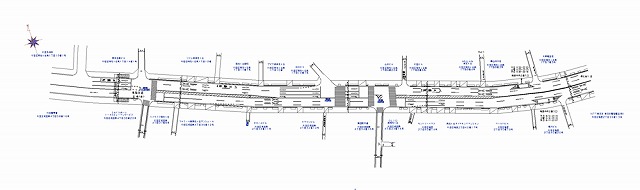
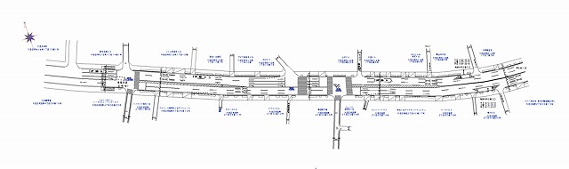
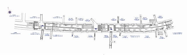
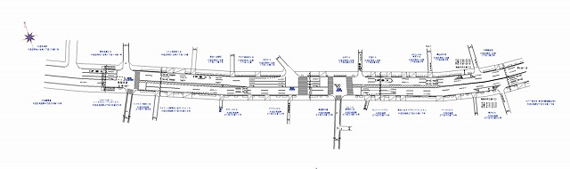
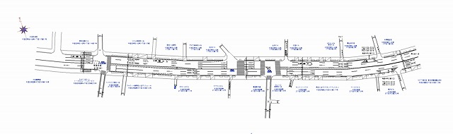
東京都 杉並区実績のご案内。24条申請に必要な交通規制図、道路規制図作成はTPN。作業帯図作成から交通量調査、竣工図作成もお任せください。

東京都 杉並区
| 本線名 |
左端 |
右端 |
規制図 |
| 青梅街道 |
上荻1丁目 |
天沼3丁目 |
|
| 青梅街道/環八通り |
上荻2丁目 |
天沼3丁目 |
|
| 環八通り/井ノ頭通り |
高井戸東3丁目 |
南荻窪1丁目 |
|
| 方南通り |
和泉4丁目 |
永福5丁目 |
|
| 青梅街道 |
阿佐ヶ谷南3丁目 |
阿佐ヶ谷南3丁目 |
|
| 青梅街道 |
成田東5丁目 |
阿佐ヶ谷南3丁目 |
|
| 人見街道 |
久我山5丁目 |
久我山3丁目 |
|
| |
高井戸西1丁目 |
上高井戸3丁目 |
|
| 環八通り |
高井戸東2丁目 |
高井戸3丁目 |
|
| 環八通り |
桃井1丁目 |
今川1丁目 |
|
| 環八通り/商栄会通り |
荻窪1丁目 |
荻窪5丁目 |
|
| 環七通り |
大原2丁目 |
方南1丁目 |
|
| 環八通り |
桃井1丁目 |
今川1丁目 |
|
| 環七通り |
堀ノ内3丁目 |
梅里1丁目 |
|
| 環八通り/商栄会通り |
荻窪2丁目 |
荻窪2丁目 |
|
| 環八通り |
高井戸東2丁目 |
上高井戸3丁目 |
|
| 五日市街道 |
梅里1丁目 |
松ノ木3丁目 |
|
| |
和田1丁目 |
弥生町5丁目 |
|
| 新青梅街道 |
上石神井2丁目 |
上石神井3丁目 |
|
| 環八通り |
八幡山3丁目 |
上北沢5丁目 |
|
| 環八通り |
南烏山1丁目 |
上北沢5丁目 |
|
| |
永福2丁目 |
和泉3丁目 |
|
| |
和泉3丁目 |
堀ノ内1丁目 |
|
| 環七通り |
大原2丁目 |
和泉4丁目 |
|
| 方南通り |
和泉3丁目 |
堀ノ内1丁目 |
|
| 方南通り |
堀ノ内1丁目 |
堀ノ内1丁目 |
|
| 青梅街道 |
今川2丁目 |
上荻3丁目 |
|
| 方南通り/環七通り |
堀ノ内1丁目 |
方南2丁目 |
|
| 国道20号 |
上高井戸1丁目 |
下高井戸5丁目 |
|
| 青梅街道 |
阿佐ヶ谷南3丁目 |
成田東5丁目 |
|
| 井ノ頭通り/人見街道/環八通り |
高井戸西3丁目 |
浜田山3丁目 |
|
| 青梅街道 |
成田東5丁目 |
荻窪4丁目 |
|
| 青梅街道 |
成田東5丁目 |
荻窪4丁目 |
|
| |
和泉3丁目 |
和泉3丁目 |
|
| 青梅街道 |
成田東5丁目 |
阿佐谷南3丁目 |
|
| 井ノ頭通り |
高井戸東4丁目 |
高井戸東3丁目 |
|
| 環八通り |
高井戸東3丁目 |
高井戸東2丁目 |
|
| 環七通り |
和田2丁目 |
堀之内3丁目 |
|
| |
高円寺南4丁目 |
高円寺南3丁目 |
|
| 五日市街道 |
宮前1丁目 |
南荻窪1丁目 |
|
| 環七通り/青梅街道/大久保通り |
梅里1丁目 |
高円寺南4丁目 |
|
| 環八通り |
南荻窪1丁目 |
高井戸4丁目 |
|
| 井ノ頭通り/五日市街道 |
宮前5丁目 |
宮前5丁目 |
|
| 早稲田通り |
清水3丁目 |
今川2丁目 |
|
| 環七通り |
堀ノ内1丁目 |
堀ノ内2丁目 |
|
| 環七通り |
方南1丁目 |
方南2丁目 |
|
| 青梅街道 |
成田東4丁目 |
梅里2丁目 |
|
▲ページのトップに戻る