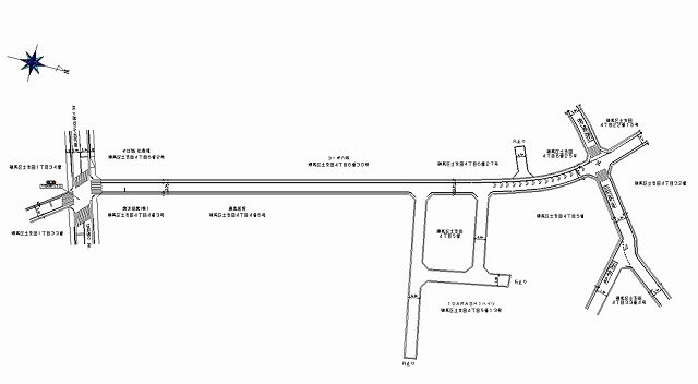
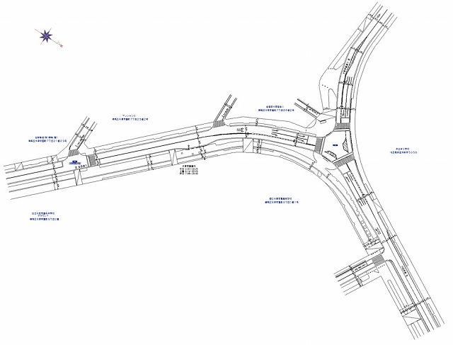
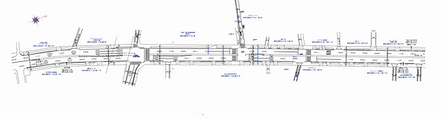
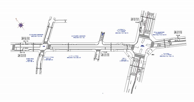
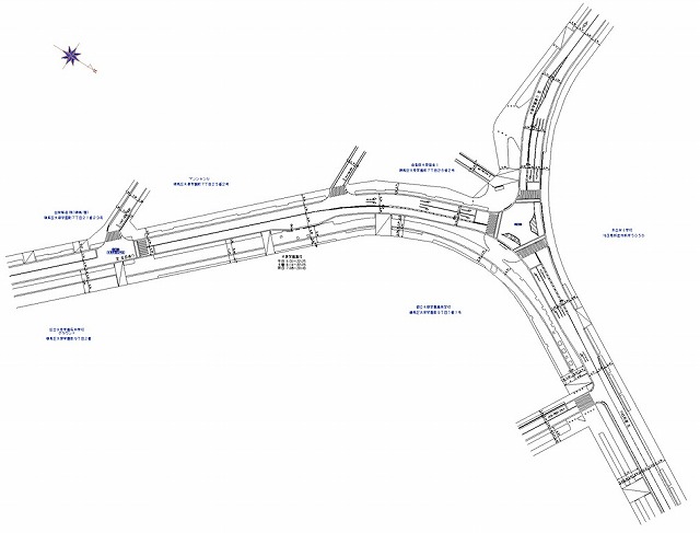
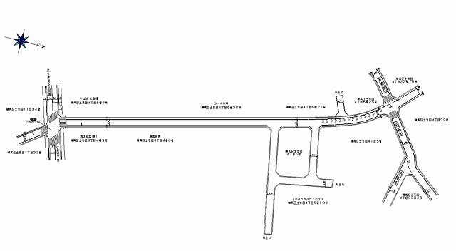
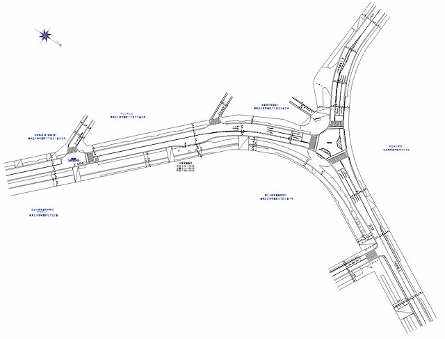
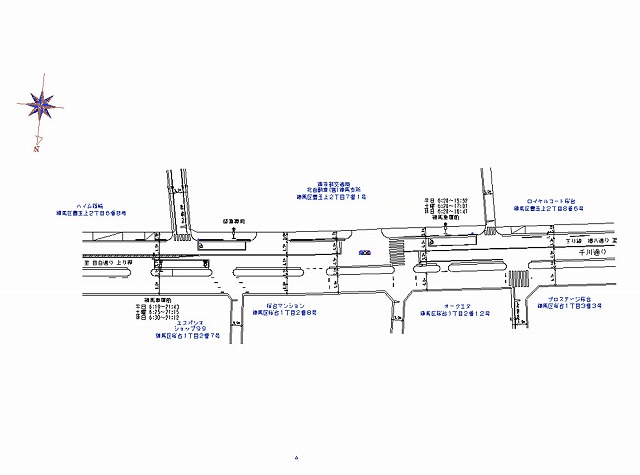
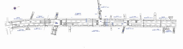
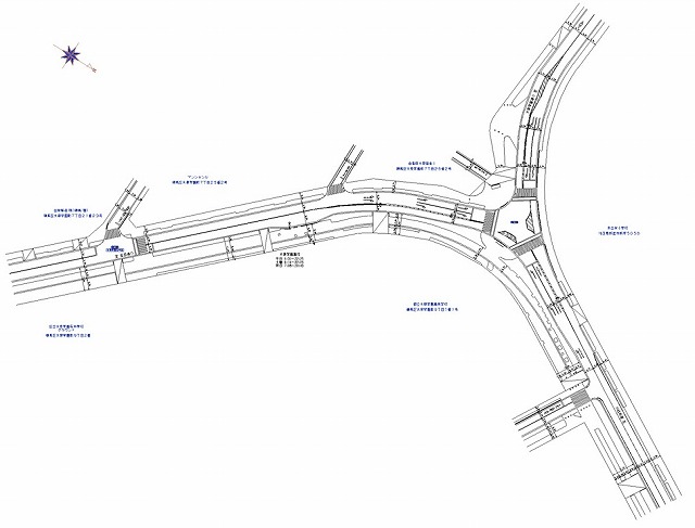
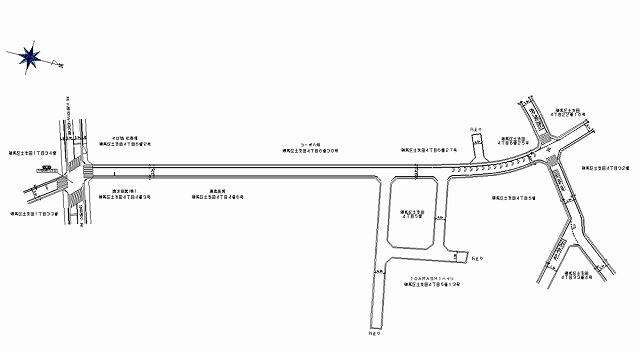
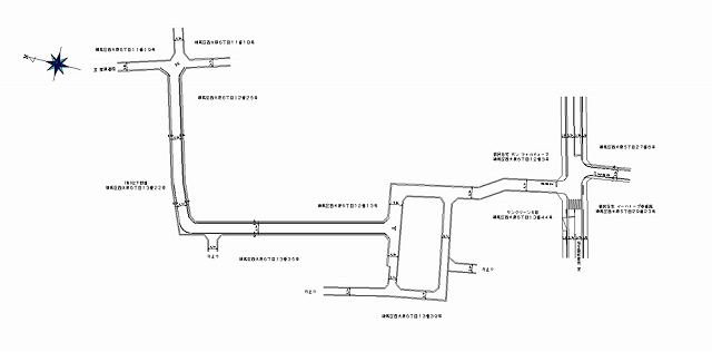
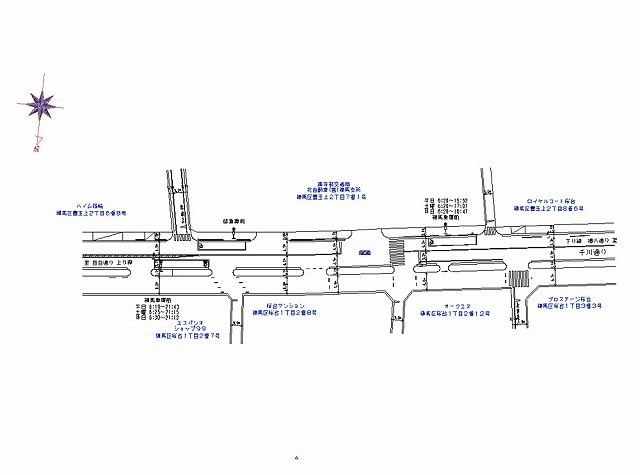
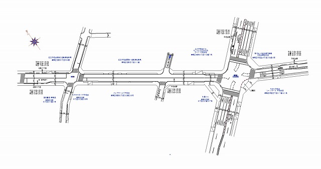
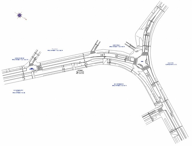
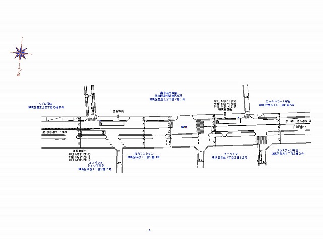
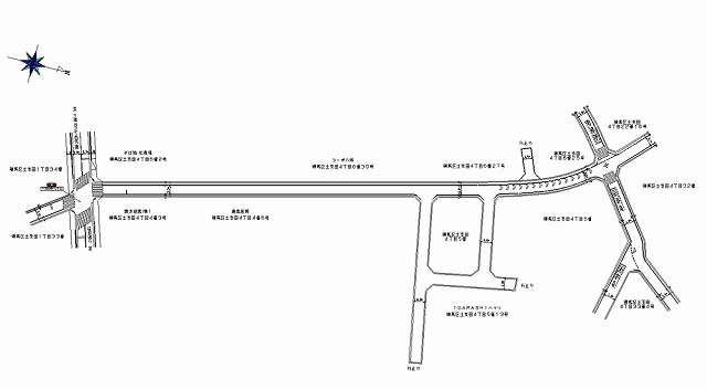
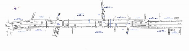
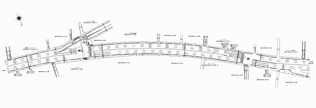
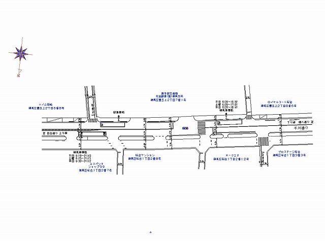
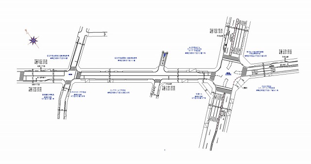
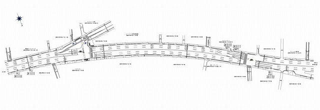
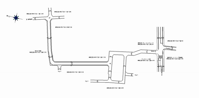
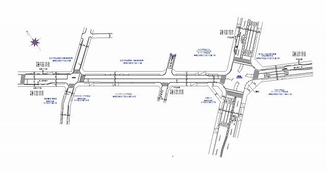
東京都 練馬区実績のご案内。24条申請に必要な交通規制図、道路規制図作成はTPN。作業帯図作成から交通量調査、竣工図作成もお任せください。

東京都 練馬区
| 本線名 |
左端 |
右端 |
規制図 |
| 目白通り |
貫井5丁目 |
高松3丁目 |
|
| 千川通り |
中村北4丁目 |
中村北2丁目 |
|
| 笹目通り |
石神井町1丁目 |
高野台1丁目 |
|
| 環八通り |
桜川2丁目 |
北町5丁目 |
|
| 川越街道/環八通り/新大宮バイパス |
錦1丁目 |
北町3丁目 |
|
| 国道254号 |
上板橋2丁目 |
北町3丁目 |
|
| |
大泉町2丁目 |
大泉町2丁目 |
|
| 千川通り |
豊玉北5丁目 |
豊玉北6丁目 |
|
| 青梅街道 |
関町南4丁目 |
東伏見4丁目 |
|
| 富士街道 |
南大泉2丁目 |
関町北5丁目 |
|
| 目白通り |
向山4丁目 |
向山4丁目 |
|
| |
豊玉北5丁目 |
豊玉北3丁目 |
|
| 旧早稲田通り/井草通り |
石神井5丁目 |
石神井1丁目 |
|
| |
関町北3丁目 |
関町北3丁目 |
|
| 千川通り |
富士見台1丁目 |
下石神井1丁目 |
|
| 環七通り |
豊玉南2丁目 |
豊玉中2丁目 |
|
| 富士街道 |
石神井町7丁目 |
石神井台3丁目 |
|
| 環七通り |
丸山2丁目 |
豊玉中2丁目 |
|
| ― (練馬区〜埼玉県新座市) |
大泉学園町7丁目 |
新塚 |
|
| |
春日町5丁目 |
高松2丁目 |
|
| 笹目通り/目白通り |
高野台1丁目 |
谷原1丁目 |
|
| 目白通り |
高野台4丁目 |
高野台2丁目 |
|
| 笹目通り |
高野台1丁目 |
高野台1丁目 |
|
| |
豊玉中3丁目 |
豊玉南2丁目 |
|
| 豊島園通り |
練馬4丁目 |
練馬3丁目 |
|
| 環八通り |
北町6丁目 |
早宮2丁目 |
|
| 千川通り |
旭丘1丁目 |
旭丘1丁目 |
|
| 千川通り/江古田通り |
旭丘1丁目 |
豊玉上1丁目 |
|
| 千川通り |
豊玉上2丁目 |
桜台1丁目 |
|
| 千川通り |
豊玉上2丁目 |
桜台1丁目 |
|
| 千川通り |
豊玉上2丁目 |
豊玉上2丁目 |
|
| 千川通り |
豊玉上2丁目 |
豊玉上2丁目 |
|
| 千川通り |
豊玉上2丁目 |
豊玉北5丁目 |
|
| 千川通り/南蔵院通り |
中村北1丁目 |
中村北1丁目 |
|
| 千川通り |
中村北3丁目 |
中村北3丁目 |
|
| 千川通り |
中村北4丁目 |
中村北4丁目 |
|
| 目白通り |
豊玉北5丁目 |
豊玉南3丁目 |
|
| |
南田中3丁目 |
富士見台3丁目 |
|
| |
中村北4丁目 |
中村北3丁目 |
|
| |
貫井1丁目 |
貫井1丁目 |
|
| |
東大泉1丁目 |
東大泉1丁目 |
|
| |
関町南4丁目 |
関町北3丁目 |
|
| |
関町南4丁目 |
関町南3丁目 |
|
| ― |
関町南4丁目 |
東伏見4丁目 |
|
| 千川通り |
栄町 |
桜台1丁目 |
|
| |
土支田2丁目 |
土支田4丁目 |
|
| |
大泉町3丁目 |
大泉町1丁目 |
|
| 豊島園通り |
練馬1丁目 |
練馬4丁目 |
|
| 豊島園通り |
練馬4丁目 |
早宮4丁目 |
|
| 環七通り |
豊玉中2丁目 |
豊玉中2丁目 |
|
| 千川通り |
中村北4丁目 |
貫井1丁目 |
|
| |
石神井台4丁目 |
石神井台8丁目 |
|
| 田柄通り/豊島園通り |
田柄5丁目 |
田柄3丁目 |
|
| |
田柄4丁目 |
田柄2丁目 |
|
| 井草通り/旧早稲田通り |
上石神井3丁目 |
石神井台1丁目 |
|
| |
土支田8丁目 |
土支田4丁目 |
|
| 笹目通り |
高松4丁目 |
光が丘6丁目 |
|
| |
高松5丁目 |
高松5丁目 |
|
| |
高松5丁目 |
高松5丁目 |
|
| 環八通り |
貫井4丁目 |
高松2丁目 |
|
| 環八通り/笹目通り |
下石神井1丁目 |
南田中3丁目 |
|
| 環八通り |
南田中3丁目 |
富士見台3丁目 |
|
| 環八通り |
富士見台4丁目 |
富士見台4丁目 |
|
| |
土支田4丁目 |
和光市南1丁目 |
|
| 新青梅街道 |
上石神井台4丁目 |
石神井台7丁目 |
|
| 新青梅街道 |
石神井台7丁目 |
関町北5丁目 |
|
| 千川通り(練馬区〜豊島区) |
旭丘1丁目 |
南長崎6丁目 |
|
| |
大泉町2丁目 |
大泉町1丁目 |
|
| 環八通り/目白通り |
貫井4丁目 |
春日町5丁目 |
|
| 川越街道 |
北町8丁目 |
赤塚新町3丁目 |
|
| 環八通り/目白通り |
富士見台4丁目 |
高松3丁目 |
|
| 環八通り/笹目通り |
南田中4丁目 |
南田中3丁目 |
|
| 千川通り |
貫井3丁目 |
中村北3丁目 |
|
| |
南田中3丁目 |
富士見台4丁目 |
|
| 環八通り/目白通り |
南田中3丁目 |
高松3丁目 |
|
| 笹目通り |
土支田1丁目 |
土支田2丁目 |
|
| |
土支田1丁目 |
土支田4丁目 |
|
| 千川通り |
豊玉上2丁目 |
豊玉北5丁目 |
|
| 千川通り |
豊玉上2丁目 |
豊玉上2丁目 |
|
| /富士海道 |
石神井町2丁目 |
谷原5丁目 |
|
| |
上石神井南町 |
上石神井3丁目 |
|
| |
平和台4丁目 |
平和台2丁目 |
|
| |
平和台4丁目 |
平和台4丁目 |
|
| |
平和台4丁目 |
平和台3丁目 |
|
| |
早宮1丁目 |
桜台6丁目 |
|
| 大泉駅前通り |
東大泉1丁目 |
東大泉4丁目 |
|
| |
南大泉3丁目 |
南大泉3丁目 |
|
| 目白通り/千川通り |
豊玉北4丁目 |
中村北1丁目 |
|
| |
石神井台7丁目 |
上石神井3丁目 |
|
| 環八通り/川越街道 |
平和台2丁目 |
北町1丁目 |
|
| |
豊玉中3丁目 |
豊玉南3丁目 |
|
| 目白通り |
貫井2丁目 |
向山2丁目 |
|
| |
東大泉1丁目 |
東大泉1丁目 |
|
| |
西大泉6丁目 |
西大泉5丁目 |
|
| |
関町北3丁目 |
関町北1丁目 |
|
| |
土支田2丁目 |
大泉町1丁目 |
|
| 千川通り |
南長崎6丁目 |
旭丘1丁目 |
|
▲ページのトップに戻る