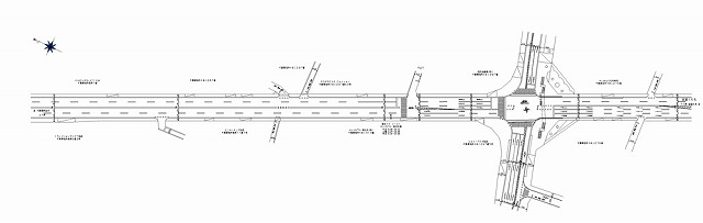
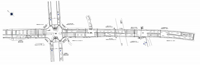
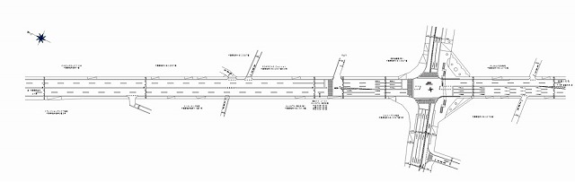
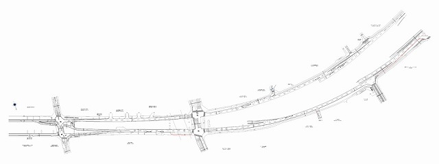
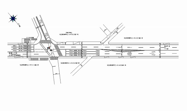
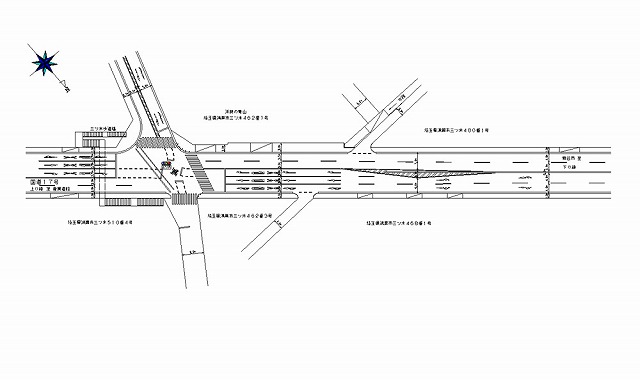
その他実績のご案内。24条申請に必要な交通規制図、道路規制図作成はTPN。作業帯図作成から交通量調査、竣工図作成もお任せください。

その他
| 本線名 |
左端 |
右端 |
規制図 |
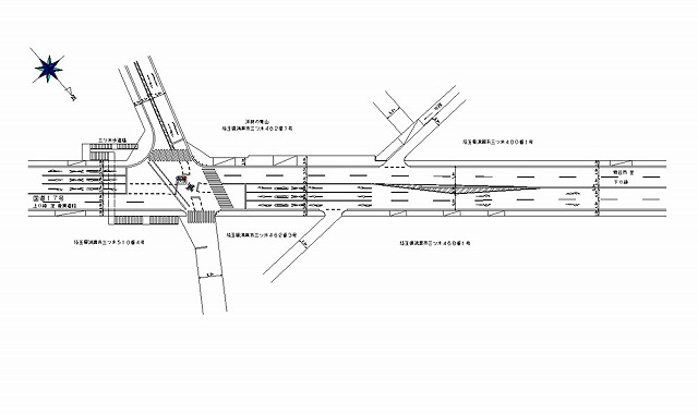
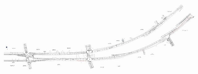
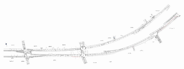
| 国道357号(千葉県船橋市〜市川市) |
西浦2丁目 |
原木 |
|
| ― (埼玉県川口市) |
東領家5丁目 |
東領家5丁目 |
|
| ― (埼玉県足立区〜川口市) |
入谷3丁目 |
江戸袋1丁目 |
|
| エンジュ通り(千葉県八千代市) |
勝田台南1丁目 |
勝田台南3丁目 |
|
| 国道16号(千葉県市原市) |
千種海岸 |
千種海岸 |
|
| ― (埼玉県三郷市) |
三郷 |
三郷 |
|
| ― (埼玉県三郷市) |
三郷 |
三郷 |
|
| ― (埼玉県三郷市) |
三郷 |
三郷 |
|
| 国道4号(栃木県那須塩原市) |
三区町 |
二区町 |
|
| ― (千葉県我孫子市) |
我孫子新田 |
寿2丁目 |
|
| ― (茨城県水戸市) |
泉町 |
砂川町1丁目 |
|
| ― (埼玉県桶川市) |
東2丁目 |
広末2丁目 |
|
| ― (埼玉県鴻巣市〜行田市) |
三ツ木 |
野 |
|
| ― (埼玉県鴻巣市) |
天神3丁目 |
東2丁目 |
|
| ― (埼玉県鴻巣市) |
三ツ木 |
三ツ木 |
|
| ― (埼玉県戸田市) |
早瀬2丁目 |
早瀬2丁目 |
|
| 国道52号(山梨県甲府市) |
宝2丁目 |
丸の内3丁目 |
|
| 国道16号(千葉県八千代市) |
下市場2丁目 |
下市場1丁目 |
|
| 国道16号(千葉県稲下区) |
園生町 |
園生町 |
|
| 国道6号/16号(千葉県柏市) |
あけぼの3丁目 |
柏5丁目 |
|
| 国道16号(千葉県野田市) |
中里 |
中里 |
|
| 国道16号(千葉県柏市) |
東台本町 |
柏 |
|
| 水戸街道(千葉県松戸市) |
岩瀬字中之町 |
胡録台字高見 |
|
| 水戸街道(千葉県松戸市) |
岩瀬字高畑 |
岩瀬字中之町 |
|
| 水戸街道(千葉県松戸市) |
南花島4丁目 |
南花島2丁目 |
|
| 水戸街道(千葉県松戸市) |
中根1丁目 |
馬橋字東条 |
|
| 水戸街道(千葉県松戸市) |
馬橋字弁天 |
馬橋字二の宮 |
|
| 国道4号(栃木県岩舟町〜大平町) |
大字静戸字熊野 |
大字西水代字中妻 |
|
| ― (埼玉県鴻巣市) |
赤見台3丁目 |
三ツ木 |
|
| 国道16号(千葉県八千代市) |
島田 |
米元 |
|
| 国道16号(埼玉県春日部市) |
増富 |
増富 |
|
| 国道6号(千葉県柏市) |
旭町4丁目 |
あけぼの4丁目 |
|
| 国道16号/国道6号(千葉県柏市) |
篠龍田 |
柏 |
|
| 新4号バイパス(埼玉県春日部市) |
榎 |
支倉 |
|
| 新4号バイパス(埼玉県春日部市) |
倉常 |
倉常 |
|
| 新4号バイパス(埼玉県春日部市) |
立野 |
立野 |
|
| 新4号バイパス(埼玉県春日部市) |
上柳 |
上柳 |
|
| 国道4号(栃木県下野市) |
下坪山 |
下坪山 |
|
| ― (埼玉県さいたま市浦和区) |
別所6丁目 |
別所2丁目 |
|
| 東京環状(瑞穂町〜埼玉県入間市) |
大字高根 |
大字二本木 |
|
| 国道16号(埼玉県岩槻市) |
東町1丁目 |
府内1丁目 |
|
| 国道16号(千葉県千葉市花見川区) |
横戸町 |
内山町 |
|
| 国道16号(千葉県千葉市花見川区) |
横戸町 |
宇那谷町 |
|
| ― (埼玉県花園町) |
武蔵野 |
武蔵野 |
|
| ― (埼玉県日高市) |
大谷沢 |
大谷沢 |
|
| ― (埼玉県鶴ヶ島市) |
太田ヶ谷 |
太田ヶ谷 |
|
| ― (埼玉県美里町) |
阿那志 |
根木 |
|
| 国道6号(茨城県取手市) |
桑原 |
桑原 |
|
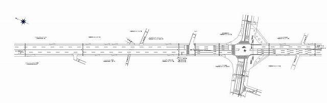
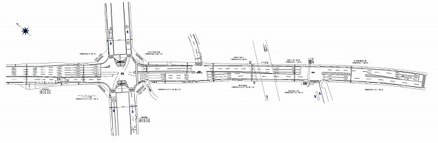
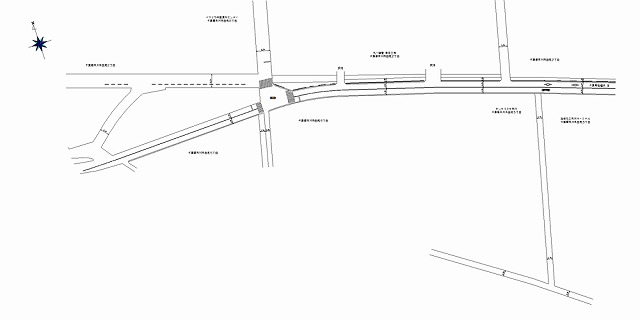
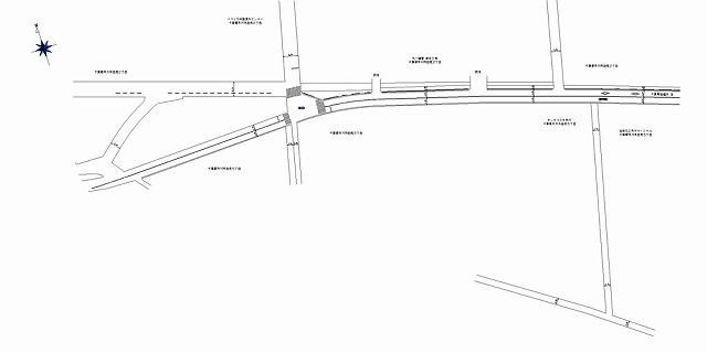
| 国道357号(千葉県市川市) |
上妙典 |
二俣 |
|
| ― (埼玉県さいたま市北区) |
大成町4丁目 |
大成町2丁目 |
|
| 国道16号(千葉県柏市) |
あけぼの3丁目 |
柏5丁目 |
|
| 国道16号(千葉県柏市) |
桜台 |
東台本町 |
|
| 国道16号(千葉県野田市) |
大字中里 |
大字中里 |
|
| 国道6号/16号(千葉県柏市) |
柏 |
柏 |
|
| 国道16号(千葉県柏市) |
東台本町 |
東台本町 |
|
| ― (千葉県浦安市) |
舞浜2丁目 |
舞浜1丁目 |
|
| 国道45号(宮城県仙台市宮城野区) |
日の出町2丁目 |
苦竹3丁目 |
|
| 国道16号(千葉県柏市) |
正連寺 |
若柴 |
|
| 国道16号(千葉県柏市) |
若柴 |
十余二 |
|
| 国道357号(千葉県船橋市〜市川市) |
西浦2丁目 |
原木 |
|
| 東京湾岸道路(千葉県浦安市) |
東野3丁目 |
東野2丁目 |
|
| ― (千葉県浦安市) |
東野2丁目 |
東野2丁目 |
|
| 国道298号(埼玉県さいたま市) |
辻2丁目 |
辻1丁目 |
|
| 国道298号(埼玉県草加市) |
親善町 |
親善町 |
|
| 国道298号(埼玉県草加市) |
親善町 |
親善町 |
|
| 国道298号(埼玉県川口市) |
大字道合 |
大字道合 |
|
| 大綱街道(千葉県緑区) |
越智町 |
大木戸町 |
|
| 国道16号/6号(千葉県柏市) |
あけぼの3丁目 |
柏 |
|
| 国道16号(千葉県野田市) |
柳沢 |
鶴奉 |
|
| 国道4号(栃木県宇都宮市) |
簗瀬町 |
簗瀬町 |
|
| 国道4号(栃木県宇都宮市) |
簗瀬3丁目 |
簗瀬町 |
|
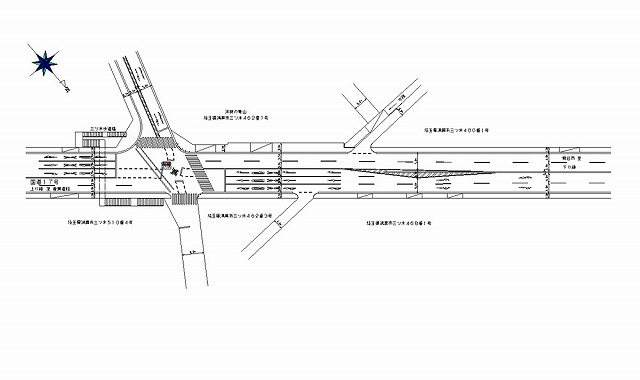
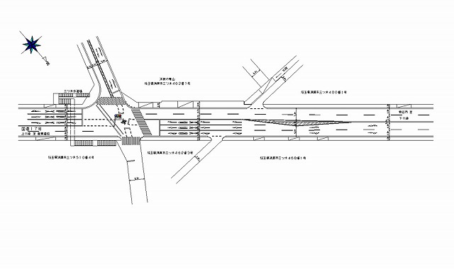
| 国道17号(群馬県高崎市) |
上並榎町 |
飯塚町 |
|
| ― (千葉県市川市) |
田尻2丁目 |
田尻2丁目 |
|
| ― (埼玉県川越市) |
菅原町5丁目 |
菅原町5丁目 |
|
| 国道298号(埼玉県三郷市) |
花和田 |
栄2丁目 |
|
| 東関東自動車道(千葉県香取郡) |
大栄町 |
大栄町 |
|
| 東関東自動車道(千葉県成田市) |
|
|
|
| ― (千葉県市川市) |
大和田4丁目 |
大和田4丁目 |
|
| ― (千葉県市川市) |
大和田1丁目 |
大和田1丁目 |
|
| ― (千葉県市川市) |
稲荷木1丁目 |
稲荷木1丁目 |
|
| ― (千葉県市川市) |
稲荷木1丁目 |
稲荷木1丁目 |
|
▲ページのトップに戻る