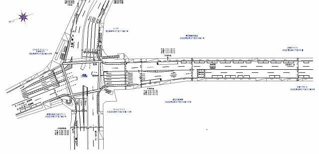
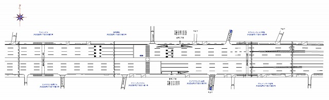
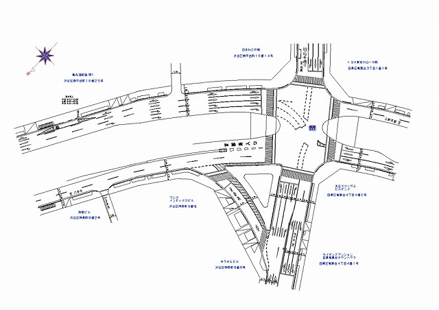
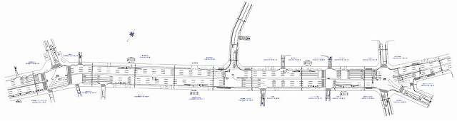
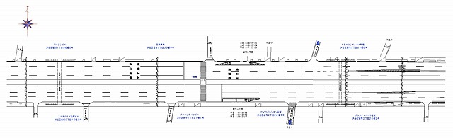
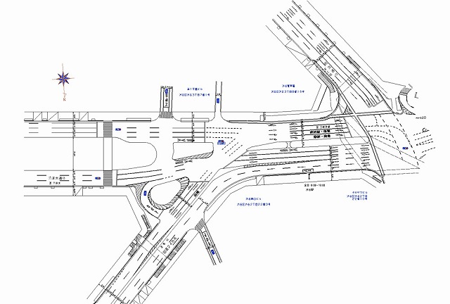
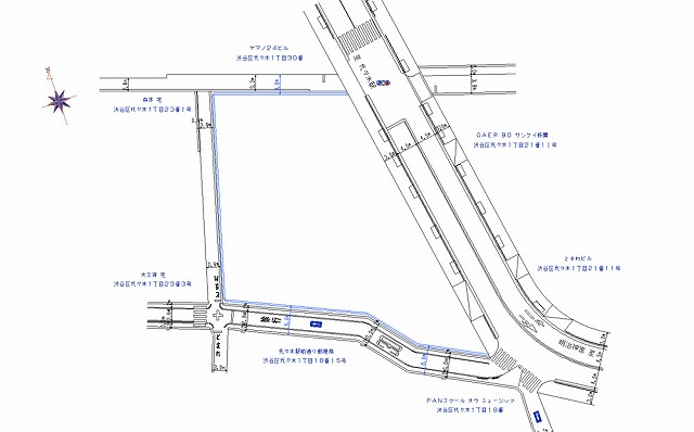
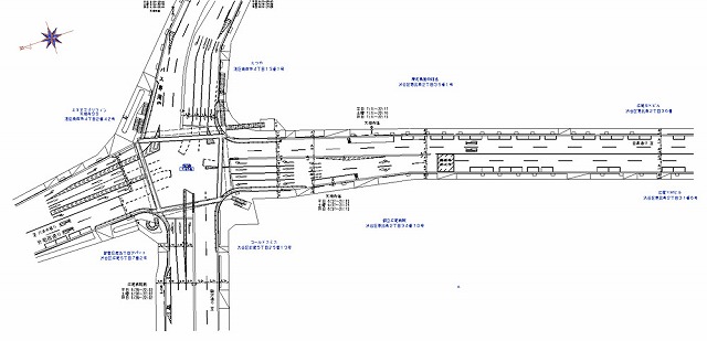
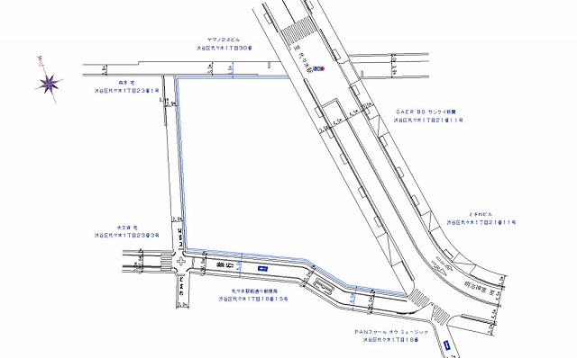
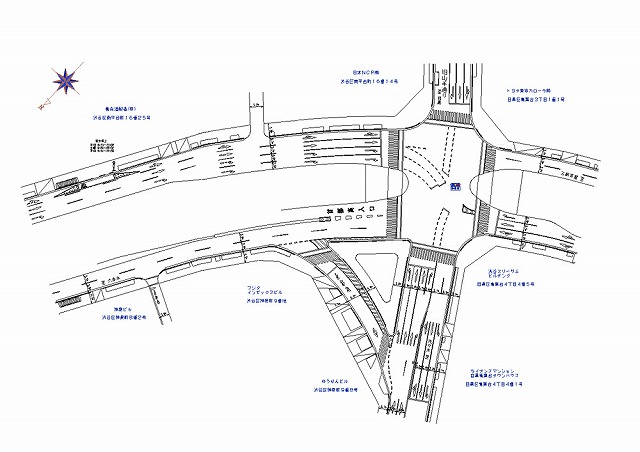
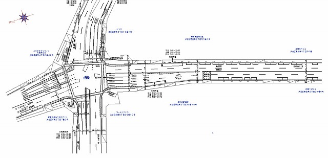
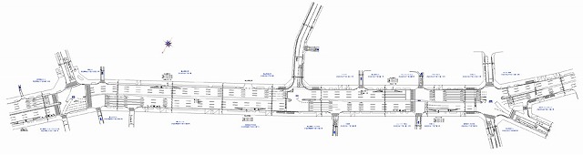
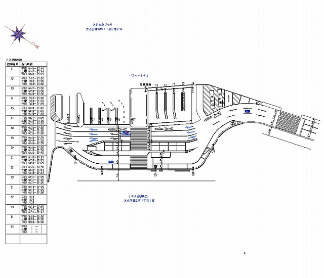
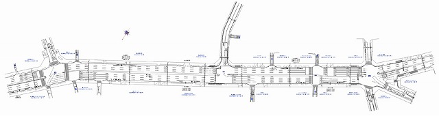
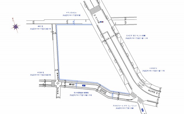
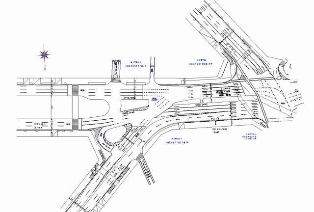
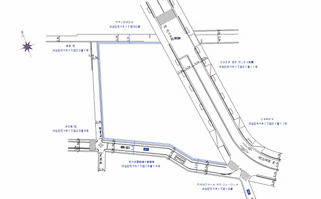
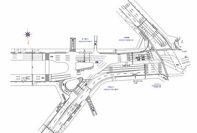
東京都 渋谷区実績のご案内。24条申請に必要な交通規制図、道路規制図作成はTPN。作業帯図作成から交通量調査、竣工図作成もお任せください。

東京都 渋谷区
| 本線名 |
左端 |
右端 |
規制図 |
| 国道20号 |
幡ヶ谷2丁目 |
笹塚2丁目 |
|
| 国道20号 |
初台1丁目 |
幡ヶ谷2丁目 |
|
| 国道246号 |
円山町 |
神泉町 |
|
| 六本木通り/明治通り |
渋谷3丁目 |
渋谷2丁目 |
|
| 旧山手通り |
南平台町 |
青葉台4丁目 |
|
| 外苑西通り/明治通り |
南麻布4丁目 |
恵比寿2丁目 |
|
| 国道20号 |
笹塚1丁目 |
笹塚1丁目 |
|
| 山手通り |
代々木4丁目 |
西新宿3丁目 |
|
| 青山通り |
北青山3丁目 |
渋谷2丁目 |
|
| |
代々木1丁目 |
代々木1丁目 |
|
| 国道20号 |
代々木2丁目 |
西新宿2丁目 |
|
| 国道20号 |
代々木3丁目 |
初台1丁目 |
|
| |
松涛1丁目 |
松涛1丁目 |
|
| |
松涛1丁目 |
松涛1丁目 |
|
| |
神南1丁目 |
神宮前6丁目 |
|
| |
千駄ヶ谷4丁目 |
代々木1丁目 |
|
| |
道玄坂1丁目 |
道玄坂1丁目 |
|
| 公園通り |
神南1丁目 |
宇田川町 |
|
| |
道玄坂1丁目 |
道玄坂1丁目 |
|
| 文化村通り/道玄坂 |
道玄坂2丁目 |
渋谷1丁目 |
|
| 方南通り/山手通り |
本町3丁目 |
本町4丁目 |
|
| |
神宮前6丁目 |
神宮前6丁目 |
|
| |
渋谷1丁目 |
神宮前5丁目 |
|
| |
西原2丁目 |
西原1丁目 |
|
| |
宇田川町 |
宇田川町 |
|
| 文化村通り |
道玄坂2丁目 |
渋谷1丁目 |
|
| 公園通り |
宇田川町 |
神南1丁目 |
|
| |
恵比寿南1丁目 |
三田2丁目 |
|
| 国道246号 |
桜丘町 |
青葉台3丁目 |
|
| |
幡ヶ谷1丁目 |
幡ヶ谷1丁目 |
|
| |
神宮前6丁目 |
神南2丁目 |
|
| 井ノ頭通り |
神南2丁目 |
富ヶ丘1丁目 |
|
| 旧山手通り |
道玄坂1丁目 |
池尻2丁目 |
|
| |
代々木3丁目 |
代々木1丁目 |
|
| 中野通り/環七通り |
幡ヶ谷1丁目 |
大原2丁目 |
|
| 青山通り |
北青山3丁目 |
渋谷2丁目 |
|
| 国道20号 |
幡ヶ谷2丁目 |
幡ヶ谷2丁目 |
|
| 国道20号 |
幡ヶ谷1丁目 |
笹塚1丁目 |
|
| 国道20号 |
幡ヶ谷1丁目 |
笹塚2丁目 |
|
| 明治通り |
神宮前6丁目 |
神宮前2丁目 |
|
| 文化村通り |
宇田川町 |
道玄坂2丁目 |
|
| |
上原3丁目 |
上原2丁目 |
|
| 宮益坂 |
渋谷2丁目 |
渋谷1丁目 |
|
| |
深沢1丁目 |
深沢1丁目 |
|
| |
深沢1丁目 |
深沢1丁目 |
|
| 山手通り |
青葉台4丁目 |
松涛2丁目 |
|
| 国道20号 |
笹塚1丁目 |
笹塚1丁目 |
|
| 環七通り |
笹塚2丁目 |
和泉2丁目 |
|
| |
神山町 |
松濤1丁目 |
|
| 明治通り/駒沢通り |
東3丁目 |
広尾1丁目 |
|
| 山手通り |
代々木5町目 |
初台1丁目 |
|
| 山手通り |
元代々木町 |
初台2丁目 |
|
| |
千駄ヶ谷4丁目 |
千駄ヶ谷4丁目 |
|
| 駒沢通り/明治通り |
恵比寿南1丁目 |
東2丁目 |
|
▲ページのトップに戻る